• Accueil
  • Agence
  • Vente
    Maison Appartement Immeuble Terrain Recherche détaillée
  • Location
    Maison Appartement Recherche détaillée
  • Gestion
  • Estimation
  • Alerte Email
  • Contact
34 - Hérault
Montant En % du prix du bien
Emoluments notaire € %
Copies & formalités notaire 800 € %
Total Notaire € %
Droits de mutation € 5.80%
Publicité foncière € 0.10%
Debours 400 € %
TVA (sur part notaire) € %
Total € %
Informations non contractuelles, fournies à titre indicatif
€
%
%
Informations non contractuelles, fournies à titre indicatif

Vos mensualités

*apport calculé sur une base de 20%
FOUZILHON
Vente Terrain
231 000 € *
Prix : 231 000 € *
* Les honoraires d'agence seront intégralement à la charge du vendeur
Référence 945
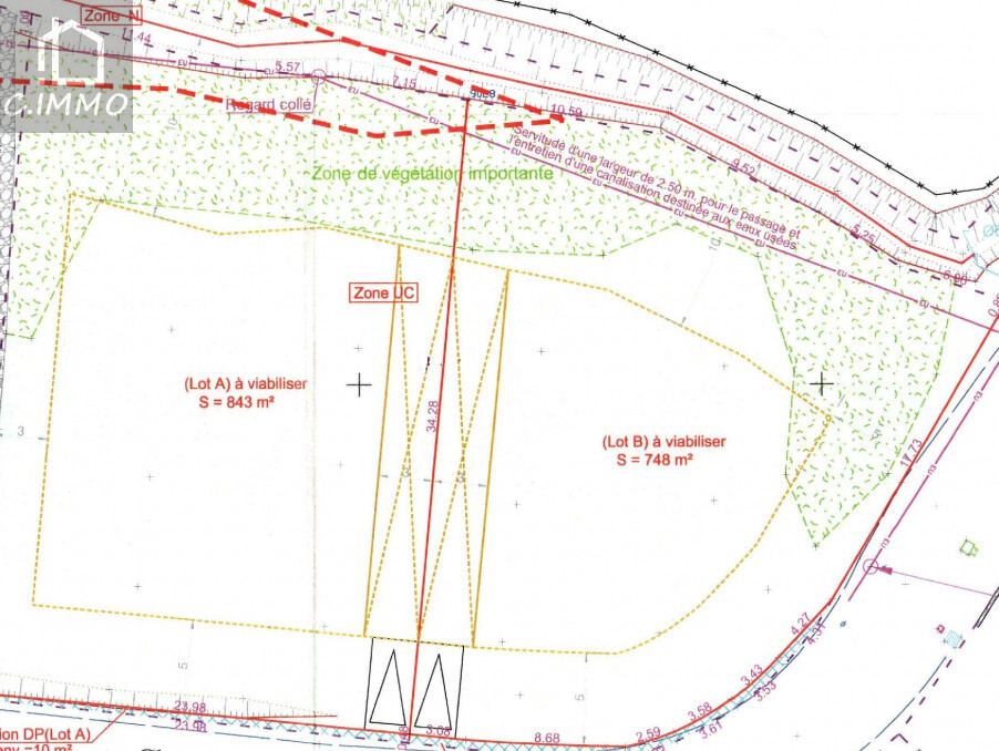
Terrain 1591 m2
  • Nous contacter
  • Fiche PDF
  • Facebook Twitter Linkedin Email

Description

Terrain de 1 591 m² à construire, dans un village calme et proche de la nature.
Environnement de qualité.

Viabilisation à prévoir (réseaux à proximité).

Possibilité d'acheter 2 lots séparés pour 126 000€ soit 748 m² ou 843 m² (ou l'ensemble à 231 000 €).

Pour une visite, nous contacter Agence Immobilière C.IMMO : Betty COUPLEUX 06.89.78.29.45 ou Steve DELBEKE 07.88.95.58.34
  • Frais de notaire
  • Calculette
  • C IMMO
  • 37 avenue jean moulin - 34290 ABEILHAN
  • 06 89 78 29 45
  • Nous contacter
Mentions légales et honoraires
Création site immobilier
Consortium Immobilier Les Clés du midi